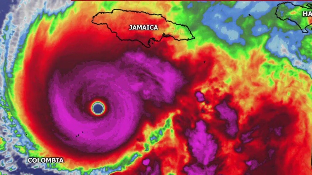
Tampa's weather & tracking Hurricane Melissa
FOX 13 meteorologist Jim Weber has our local forecast and the latest track on Hurricane Melissa.
Top Videos

Tampa's weather & tracking Hurricane Melissa

Gun pulled during road rage incident

History rolled by hand daily at J.C. Newman Cigar Company

Clearwater SUV flips over at high speed on US 19

Event-filled weekend in Tampa

Neighbors concerned over proposed development

Woman charged in deadly hit-and-run crash

Bay area Jewish communities tighten security

Students prepare for major drone competition

Citrus county community fighting plans for asphalt plant

USF basketball star earns historic conference honors
Good Day Tampa Bay

The Gondola Girl

Mindful Monday: Stretchlab

Youth Rowing Championships

Bocelli Modern Italian

Pet of the Week: Meet Snow White

Swim Across America making waves in St. Pete Beach

Rizo's Cuisine

Sunny St. Pete Dinner Club

Road to the National Spelling Bee

Final home game for Tampa Bay Sun

Tisha Campbell talks ahead of her comedy show in Tampa

Country Thunder Music Festival begins

Summer heat brings in warmer fishing patterns

USF honors slain students at graduation

Good Day Goodies: May 8, 2026

Brine Seafood & Raw Bar in Sarasota

Residents prepare for Stamp Out Hunger Food Drive

Tampa Rose Society's 54th Annual Rose Show

Veteran suicide prevention

Treating monocot plants from caterpillar damage
We Live Here

The tales of Gunner the dog helps Bay area rescues

The Lemonicious Drink Company

The Lemonicious Drink Company

Homesick Bagels, a classic neighborhood bagel shop

Homesick Bagels, a classic neighborhood bagel shop

Pizza and cheesesteaks shine at the Violet Stone

Coffee lab lets you learn to roast like a pro
