Louisiana man charged with shooting and killing toddler during violent rampage
Louisiana police say a violent man went on a rampage and allegedly killed an innocent 2-year-old boy when he sprayed a house with gunfire, according to reports.
Louisiana police say a violent man went on a rampage and allegedly killed an innocent 2-year-old boy when he sprayed a house with gunfire, according to reports.
Boy allegedly steals school bus, leads police on street chase before crashing
An 11-year-old Louisiana boy was taken into custody by police on Sunday, after stealing a school bus and leading officers on a chase, which ended in a crash.
An 11-year-old Louisiana boy was taken into custody by police on Sunday, after stealing a school bus and leading officers on a chase, which ended in a crash.
Puppy named Delta Dawn is adopted after surviving Hurricane Delta
A newborn puppy had a narrow escape on October 10, found under debris thrown up by Hurricane Delta and adopted by a volunteer team, the Marco Patriots.
A newborn puppy had a narrow escape on October 10, found under debris thrown up by Hurricane Delta and adopted by a volunteer team, the Marco Patriots.
Hurricane Delta adds insult to injury in hurricane-ravaged Louisiana
Ripping tarps off damaged roofs and scattering massive piles of storm debris in the wind and water, Hurricane Delta inflicted fresh damage in Louisiana along the same path of destruction Hurricane Laura carved just six weeks earlier.
Ripping tarps off damaged roofs and scattering massive piles of storm debris in the wind and water, Hurricane Delta inflicted fresh damage in Louisiana along the same path of destruction Hurricane Laura carved just six weeks earlier.
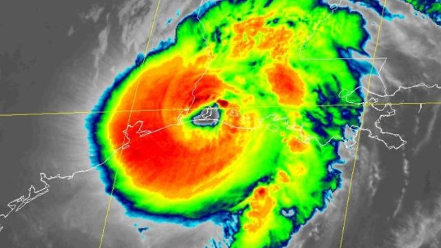
Hurricane Delta makes landfall in Louisiana
Hurricane Delta crashed onshore Friday in southwestern Louisiana as a Category 2 storm, compounding misery along a path of destruction left by Hurricane Laura only six weeks earlier.
Hurricane Delta crashed onshore Friday in southwestern Louisiana as a Category 2 storm, compounding misery along a path of destruction left by Hurricane Laura only six weeks earlier.
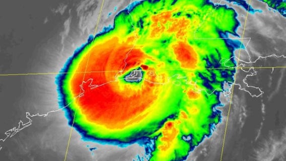
Hurricane Delta weakens slightly ahead of Louisiana landfall
Hurricane conditions and life-threatening storm surge are forecast for southwestern Louisiana when Hurricane Delta makes landfall tonight.
Hurricane conditions and life-threatening storm surge are forecast for southwestern Louisiana when Hurricane Delta makes landfall tonight.
Louisiana priest arrested for alleged threesome on church altar: report
A Louisiana priest who was arrested for obscenity last week was allegedly caught having sex with two dominatrices on the altar of his church, court documents revealed, according to reports.
A Louisiana priest who was arrested for obscenity last week was allegedly caught having sex with two dominatrices on the altar of his church, court documents revealed, according to reports.
New Orleans officer accused of molesting teen whose sex assault he was investigating, report says
A New Orleans police officer is behind bars, accused of molesting a teenage girl while he was investigating a separate sexual assault case in which she was the victim.
A New Orleans police officer is behind bars, accused of molesting a teenage girl while he was investigating a separate sexual assault case in which she was the victim.
Thousands told to return unemployment overpayment
A programming mistake caused more than 4,000 out-of-work Louisiana residents to get notices saying they’d been overpaid thousands of dollars in unemployment compensation and had to return the money, officials say.
A programming mistake caused more than 4,000 out-of-work Louisiana residents to get notices saying they’d been overpaid thousands of dollars in unemployment compensation and had to return the money, officials say.
Police: 3 brothers accused of raping 10-year-old girl; 1 is on the run
Police in Kenner, Louisiana, say three brothers have been accused of raping a 10-year-old girl after forcing their way into a bathroom where she was hiding.
Police in Kenner, Louisiana, say three brothers have been accused of raping a 10-year-old girl after forcing their way into a bathroom where she was hiding.
Oldest living WWII veteran celebrates 111th birthday
A man considered to be the nation's oldest living World War II veteran celebrated his 111th birthday this weekend.
A man considered to be the nation's oldest living World War II veteran celebrated his 111th birthday this weekend.
Dog stuck in a jam after trying to escape under fence in Louisiana
A Louisiana dog needed the help of firefighters after getting stuck under a fence while trying to escape a backyard late last month.
A Louisiana dog needed the help of firefighters after getting stuck under a fence while trying to escape a backyard late last month.
11-year-old boy accused of killing 39-year-old relative in Louisiana
The boy was arrested Sept. 7 on a charge of second-degree murder, authorities said.
The boy was arrested Sept. 7 on a charge of second-degree murder, authorities said.
Operation Blue Roof revived to help with Hurricane Laura recovery
The Operation Blue Roof program is currently active in Allen, Beauregard, Calcasieu, Cameron, Jefferson Davis, and Vernon parishes.
The Operation Blue Roof program is currently active in Allen, Beauregard, Calcasieu, Cameron, Jefferson Davis, and Vernon parishes.
Baton-twirling 8-year-old starts practice early to become college drum major
An 8-year-old aspiring drum major was spotted honing his skills in Baton Rouge, Louisiana, on August 30.
An 8-year-old aspiring drum major was spotted honing his skills in Baton Rouge, Louisiana, on August 30.
Trump surveys Hurricane Laura damage
President Donald Trump got a firsthand look Saturday at the damage from Hurricane Laura on a post-Republican National Convention trip that allowed him to use the trappings of his office to try to project empathy and leadership.
President Donald Trump got a firsthand look Saturday at the damage from Hurricane Laura on a post-Republican National Convention trip that allowed him to use the trappings of his office to try to project empathy and leadership.
'Glass falling everywhere': Video, images show damage in the aftermath of Hurricane Laura
Laura pounded the Gulf Coast with heavy wind and torrential rain, unleashing a wall of seawater on cities in its path.
Laura pounded the Gulf Coast with heavy wind and torrential rain, unleashing a wall of seawater on cities in its path.
4 deaths caused by falling trees in Louisiana during Hurricane Laura
The governor of Louisiana says four people, including a 14-year-old girl and an 68-year-old man, were killed by falling trees as Hurricane Laura moved through the state.
The governor of Louisiana says four people, including a 14-year-old girl and an 68-year-old man, were killed by falling trees as Hurricane Laura moved through the state.
Chemical fire billows near Lake Charles in Hurricane Laura’s wake
A fire at a Louisiana chlorine plant erupted with thick, billowing smoke Thursday after Hurricane Laura plowed through part of the country’s petrochemical corridor with storm surges and fierce wind, forcing residents around the plant to shelter in their homes.
A fire at a Louisiana chlorine plant erupted with thick, billowing smoke Thursday after Hurricane Laura plowed through part of the country’s petrochemical corridor with storm surges and fierce wind, forcing residents around the plant to shelter in their homes.
Louisiana sheriff to residents: ‘Write your name... and next of kin and put it in a ziploc bag in your pocket’
The Vermilion Parish Sheriff’s Office issued a mandatory evacuation and grim warning to residents choosing to ride out Hurricane Laura rather than evacuate.
The Vermilion Parish Sheriff’s Office issued a mandatory evacuation and grim warning to residents choosing to ride out Hurricane Laura rather than evacuate.



















