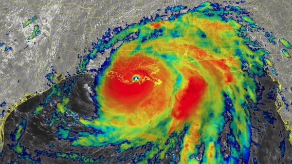
Tracking tropical storms: Colin veers away from US coast, Bonnie strengthens in Pacific
Two tropical storms are swirling along the coasts of North America right now -- one that popped up unexpectedly overnight.
Denver man rescued by helicopter after being stranded by Yellowstone floodwaters
Jacob Showers and his girlfriend were trail-running in the backcountry when the area began to flood and wash away.
Excessive heat blamed for thousands of Kansas cattle deaths
The state is aware of at least 2,000 cattle deaths in the southwest region, but that number could be higher.
Yellowstone National Park: Floods leave landscape 'dramatically changed'
Park officials say over 10,000 visitors left the nation’s oldest national park after historic flooding tore through the area, washing out bridges and roads.
'Literally feet away from dying': Meijer worker narrowly escapes tornado's strike on Ohio distribution center
The tornado touched down northwest of Dayton, Ohio, Wednesday evening before moving into Tipp City.
Impact-resistant doors, windows, garage doors tax-free starting July 1 in Florida
For anyone who’s considering home upgrades before hurricane season ramps up, the state of Florida has some incentives to help get those projects going.
Tropical Storm Warnings issued in Central, South Florida as heavy rain, gusty winds spread onshore
As of Friday afternoon, this developing system located less than 400 miles southwest of Fort Myers, Florida, was producing clusters of showers and thunderstorms.
Potential Tropical Cyclone One timing, impact: Heavy rain expected around Tampa Bay starting Friday
Potential Tropical Cyclone One appears to be headed further north than previously expected, possibly causing flooding in the Tampa Bay area Friday and early Saturday.
Here are the names you'll see during the 2022 Atlantic hurricane season
Hurricane name lists in the Atlantic are reused every six years — but there is one caveat.
Lightning destroys toilet at Oklahoma apartment, fire department reports
“The fan was destroyed and the toilet bowl was severely damaged,” Okmulgee’s Fire Chief Dewayne Hurt told FOX TV Stations.
'It's devastating': Significant damage reported after tornadoes move through Kansas
Only minor injuries have been reported at this time
Beware the 'I' storm: It has more retirees than any other letter used for Atlantic hurricane names
Tweleve 'I' storms have been retired in the Atlantic – 10 of them since 2001.
Wildfires can be dangerous to your health even if you’re nowhere near one
The American Lung Association's annual report says there were more days with unhealthy air quality last year than in the 20-year history of the report, due to wildfires.
In a flash: Lightning chaser shares how to capture Nature's fury on camera
Lightning photographer Jason Weingart shares five essentials to getting that perfect lightning shot.
Watch: Storm chaser video shows moment lightning strikes car during Iowa tornado
A storm chaser in Iowa captured a “once in a lifetime” video of lightning striking his friend’s car during a tornado.
Hail larger than grapefruits falls over Central Texas
The 5.5-inch hailstone fell in Salado, Texas.
Photo shows lightning striking water at Flagler Beach
Tony Caruso captured the incredible moment and posted the photo to Facebook.
Avon Park residents left cleaning up after hail falls during Highlands County storms
Avon Park residents were left cleaning up after large hail fell during Highlands County storms Monday evening.
Downed power lines, damages reported after hail falls in Highlands County, officials say
Severe weather moved through Highlands County early Monday evening. County officials reported damages to vehicles and downed power lines after hail fell in parts of the county.
Meteorologist calls kids on-air to warn of tornado nearing their home
During his weather broadcast, a meteorologist realized an incoming tornado was headed right for his neighborhood — and his kids were home alone.



















